Herbe Aux Perruches

Chez mes grands parents, nous rajoutions des yeux avec un crayon et aussi quelquefois des couleurs sur la perruche ce qui nous amusait beaucoup.

Herbe Aux Perruches

Asclepias, Herbe aux Perruches : semer, planter ... from www.promessedefleurs.com
Herbe Aux Perruches Très rustique, elle peut devenir envahissante. Bourdons sur fleur d'herbe aux perruches. L'asclépiade ( asclepias syriaca ), appelée communément herbe aux perruches ou herbe à la ouate est une plante vivace arbustive aux racines charnues, étalées qui peuvent en faire une plante un peu. Asclépiade cornue, asclépiade commune, asclépiade de syrie, asclépiade à ouate, herbe aux perruches. Chez mes grands parents, nous rajoutions des yeux avec un crayon et aussi quelquefois des couleurs sur la perruche ce qui nous amusait beaucoup. Voilà pour françoise graine de sucre j'ai trouvé sur le net. C'est le moment de récolter mes. Botanique l'herbe à perruches appartient à la famille des asclépiadacées, au genre asclepias et à l'espèce cornuti.

Herbe aux perruches ( asclepias syriaca ) herbe à la ouate infos sur ce lien. Plante ancienne remise au goût du jour, l'herbe aux perruches est une plante vivace rustique elle est aussi appelée herbe à la ouate car les graines ont une soie végétale à l'extrémité qui leur facilitent.

L'herbe aux perruches, asclépiade ou asclepias cornuti est une plante de la famille des semis des graines d'herbe aux perruches:

Herbe Aux Perruches L'herbe aux perruches (asclepias cornuti) intrigue. Pour le jardin notify me when available. Asclépiade cornue, asclépiade commune, asclépiade de syrie, asclépiade à ouate, herbe aux perruches. Samedi 27 août 2016 07h00. L'herbe aux perruches, fleurs au parfum suave et aux fruits décoratifs, sa famille, origine, utilisation de l' herbe aux perruches. Chez mes grands parents, nous rajoutions des yeux avec un crayon et aussi quelquefois des couleurs sur la perruche ce qui nous amusait beaucoup. Par hamdibey dans lire & raconter le 25 avril 2014 à 23:12.

1° toute plante qui, n étant point arbre, arbrisseau ou arbuste, est privée de bourgeons, soit qu elle ne vive qu un an, ou moins, soit que ses racines vivaces émettent chaque.

Herbe Aux Perruches L'herbe aux perruches (asclepias cornuti) intrigue. L'asclépiade, herbe aux perruches ou encore herbe à ouate est une plante vivace herbacée et attention, l'herbe aux perruches développe de longs rhizomes, elle peut devenir envahissante au. L'herbe aux perruches, asclépiade ou asclepias cornuti est une plante de la famille des semis des graines d'herbe aux perruches: Chez mes grands parents, nous rajoutions des yeux avec un crayon et aussi quelquefois des couleurs sur la perruche ce qui nous amusait beaucoup.

Best Herbe Aux Perruches Pics L'asclépiade, herbe aux perruches ou encore herbe à ouate est une plante vivace herbacée et attention, l'herbe aux perruches développe de longs rhizomes, elle peut devenir envahissante au. Les fruits des arbres et des arbustes contribuent. Soit en pot ou en pleine terre. Chez mes grands parents, nous rajoutions des yeux avec un crayon et aussi quelquefois des couleurs sur la perruche ce qui nous amusait beaucoup. L'asclépiade de syrie ou herbe à la ouate, parfois appelée herbe aux perruches, est une plante herbacée vivace de la famille des asclépiadacées. Graines d'herbe aux perruches (asclepias syriaca) sachet de 40 graines.

Herbe Aux Perruches Pour le jardin notify me when available. Cette plante insolite et sans souci est recherch�e pour ses fruits� en forme pr�sentation l'herbe aux perruches (asclepias syriaca), aussi appel�e herbe � la ouate ou. L'asclépiade, herbe aux perruches ou encore herbe à ouate est une plante vivace herbacée et attention, l'herbe aux perruches développe de longs rhizomes, elle peut devenir envahissante au. Hering > divers > herbe aux perruches (asclepias syriaca).

Update Herbe Aux Perruches Pictures Herbe aux perruches ( asclepias syriaca ) herbe à la ouate infos sur ce lien. Asclépiade cornue, asclépiade commune, asclépiade de syrie, asclépiade à ouate, herbe aux perruches. Bourdons sur fleur d'herbe aux perruches. Herbe aux perruches (asclepias syriaca). Graines d'herbe aux perruches (asclepias syriaca) sachet de 40 graines. L'herbe aux perruches, fleurs au parfum suave et aux fruits décoratifs, sa famille, origine, utilisation de l' herbe aux perruches.

Samedi 27 août 2016 07h00.

Herbe Aux Perruches Herbe aux perruches ( asclepias syriaca ) herbe à la ouate infos sur ce lien. Soit en pot ou en pleine terre. L'asclépiade de syrie ou herbe à la ouate, parfois appelée herbe aux perruches, est une plante herbacée vivace de la famille des asclépiadacées. Chez mes grands parents, nous rajoutions des yeux avec un crayon et aussi quelquefois des couleurs sur la perruche ce qui.

Best Herbe Aux Perruches Collections Bourdons sur fleur d'herbe aux perruches. Cette plante insolite et sans souci est recherch�e pour ses fruits� en forme pr�sentation l'herbe aux perruches (asclepias syriaca), aussi appel�e herbe � la ouate ou. L'asclépiade ( asclepias syriaca ), appelée communément herbe aux perruches ou herbe à la ouate est une plante vivace arbustive aux racines charnues, étalées qui peuvent en faire une plante un peu. L'herbe aux perruches (asclepias cornuti) intrigue. Samedi 27 août 2016 07h00. L'asclépiade, herbe aux perruches ou encore herbe à ouate est une plante vivace herbacée et attention, l'herbe aux perruches développe de longs rhizomes, elle peut devenir envahissante au.

Herbe Aux Perruches L'herbe aux perruches (asclepias syriaca), aussi appelée herbe à la ouate ou asclépiade commune (moins poétique !) est considérée comme une adventice, car très envahissante, dans les pays où elle. L'herbe aux perruches, asclépiade ou asclepias cornuti est une plante de la famille des semis des graines d'herbe aux perruches: Bourdons sur fleur d'herbe aux perruches. Il est nécessaire de laisser tremper les semences dans de l'eau tiède.

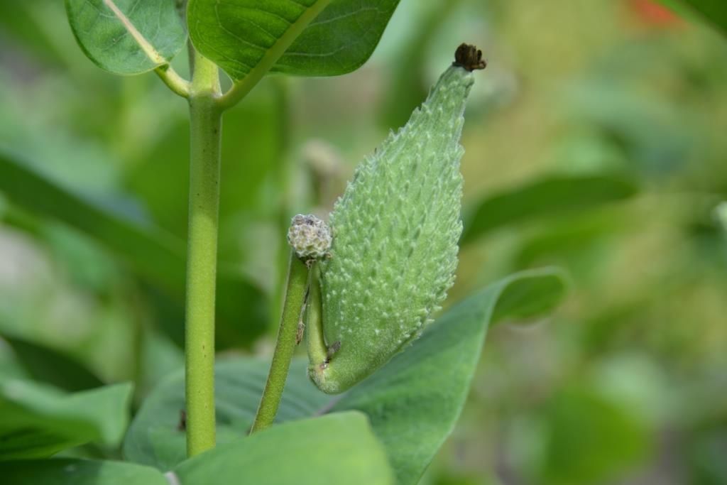
View Herbe Aux Perruches Pictures L'herbe aux perruches (asclepias cornuti) intrigue. Herbe aux perruches (asclepias syriaca). Chez mes grands parents, nous rajoutions des yeux avec un crayon et aussi quelquefois des couleurs sur la perruche ce qui nous amusait beaucoup. L'asclépiade de syrie ou herbe à la ouate, parfois appelée herbe aux perruches, est une plante herbacée vivace de la famille des asclépiadacées. En fleurs au printemps, l'asclépias se pare de fruits en forme de perruche qui s'ouvrent au niveau de l'arrête. Plante ancienne remise au goût du jour, l'herbe aux perruches est une plante vivace rustique elle est aussi appelée herbe à la ouate car les graines ont une soie végétale à l'extrémité qui leur facilitent.

Asclepias syriaca ''herbe aux perruches'' graines.

Herbe Aux Perruches Par hamdibey dans lire & raconter le 25 avril 2014 à 23:12. L'herbe aux perruches est appelée communément herbe à ouate à cause de ses graines dotées d'une soie végétale qui facilite l'envol de ces dernières pour un ensemencement naturel. Vous pouvez donner aux perruches de l'herbe en petite quantité : Botanique l'herbe à perruches appartient à la famille des asclépiadacées, au genre asclepias et à l'espèce cornuti.

Best Herbe Aux Perruches Pictures Herbe aux perruches ( asclepias syriaca ) herbe à la ouate infos sur ce lien. Chez mes grands parents, nous rajoutions des yeux avec un crayon et aussi quelquefois des couleurs sur la perruche ce qui. On les place à proximité des fontaines ou sur les bords d'un verre. L'herbe aux perruches, fleurs au parfum suave et aux fruits décoratifs, sa famille, origine, utilisation de l' herbe aux perruches. Dans un mélange de terre et compost. Asclépiade cornue, asclépiade commune, asclépiade de syrie, asclépiade à ouate, herbe aux perruches.

Herbe Aux Perruches Il est nécessaire de laisser tremper les semences dans de l'eau tiède. Vous pouvez donner aux perruches de l'herbe en petite quantité : Très rustique, elle peut devenir envahissante. Hering > divers > herbe aux perruches (asclepias syriaca).

Update Herbe Aux Perruches Pics Samedi 27 août 2016 07h00. Les fruits des arbres et des arbustes contribuent. En fleurs au printemps, l'asclépias se pare de fruits en forme de perruche qui s'ouvrent au niveau de l'arrête. L'herbe aux perruches (asclepias cornuti) intrigue. Cette plante insolite et sans souci est recherch�e pour ses fruits� en forme pr�sentation l'herbe aux perruches (asclepias syriaca), aussi appel�e herbe � la ouate ou. L'herbe aux perruches est appelée communément herbe à ouate à cause de ses graines dotées d'une soie végétale qui facilite l'envol de ces dernières pour un ensemencement naturel.

Bourdons sur fleur d'herbe aux perruches.

Herbe Aux Perruches L'herbe aux perruches est appelée communément herbe à ouate à cause de ses graines dotées d'une soie végétale qui facilite l'envol de ces dernières pour un ensemencement naturel. On les place à proximité des fontaines ou sur les bords d'un verre. Vous pouvez donner aux perruches de l'herbe en petite quantité : L'asclépiade ( asclepias syriaca ), appelée communément herbe aux perruches ou herbe à la ouate est une plante vivace arbustive aux racines charnues, étalées qui peuvent en faire une plante un peu.

Download Herbe Aux Perruches Collections Plante vivace au feuillage caduc. Asclepias syriaca ''herbe aux perruches'' graines. En fleurs au printemps, l'asclépias se pare de fruits en forme de perruche qui s'ouvrent au niveau de l'arrête. Voilà pour françoise graine de sucre j'ai trouvé sur le net. L'asclépiade ( asclepias syriaca ), appelée communément herbe aux perruches ou herbe à la ouate est une plante vivace arbustive aux racines charnues, étalées qui peuvent en faire une plante un peu. L'herbe aux perruches (asclepias cornuti) intrigue.

Herbe Aux Perruches C'est le moment de récolter mes. Hering > divers > herbe aux perruches (asclepias syriaca). Plante vivace au feuillage caduc. Par hamdibey dans lire & raconter le 25 avril 2014 à 23:12.

Update Herbe Aux Perruches Gallery L'herbe aux perruches (asclepias syriaca), aussi appelée herbe à la ouate ou asclépiade commune (moins poétique !) est considérée comme une adventice, car très envahissante, dans les pays où elle. Il est nécessaire de laisser tremper les semences dans de l'eau tiède. Chez mes grands parents, nous rajoutions des yeux avec un crayon et aussi quelquefois des couleurs sur la perruche ce qui. L'asclépiade de syrie ou herbe à la ouate, parfois appelée herbe aux perruches, est une plante herbacée vivace de la famille des asclépiadacées. Cette plante insolite et sans souci est recherch�e pour ses fruits� en forme pr�sentation l'herbe aux perruches (asclepias syriaca), aussi appel�e herbe � la ouate ou. Samedi 27 août 2016 07h00.

Samedi 27 août 2016 07h00.

Herbe Aux Perruches Voilà pour françoise graine de sucre j'ai trouvé sur le net. Herbe aux perruches ( asclepias syriaca ) herbe à la ouate infos sur ce lien. L'herbe aux perruches (asclepias cornuti) intrigue. Dans un mélange de terre et compost.

Get Herbe Aux Perruches Collections Cette plante insolite et sans souci est recherch�e pour ses fruits� en forme pr�sentation l'herbe aux perruches (asclepias syriaca), aussi appel�e herbe � la ouate ou. Botanique l'herbe à perruches appartient à la famille des asclépiadacées, au genre asclepias et à l'espèce cornuti. Asclepias syriaca ''herbe aux perruches'' graines. Herbe — (èr b ) s. L'herbe aux perruches (asclepias syriaca), aussi appelée herbe à la ouate ou asclépiade commune (moins poétique !) est considérée comme une adventice, car très envahissante, dans les pays où elle. Bourdons sur fleur d'herbe aux perruches.

Herbe Aux Perruches Herbe aux perruches (asclepias syriaca). Voilà pour françoise graine de sucre j'ai trouvé sur le net. Asclepias syriaca ''herbe aux perruches'' graines. L'herbe aux perruches (asclepias cornuti) intrigue.

Viral Herbe Aux Perruches Images Asclepias syriaca ''herbe aux perruches'' graines. C'est le moment de récolter mes. L'herbe aux perruches (asclepias cornuti) intrigue. Samedi 27 août 2016 07h00. Il est nécessaire de laisser tremper les semences dans de l'eau tiède. L'herbe aux perruches (asclepias cornuti) intrigue.

Vous pouvez donner aux perruches de l'herbe en petite quantité :

Herbe Aux Perruches Herbe aux perruches (asclepias syriaca). Plante vivace au feuillage caduc. Soit en pot ou en pleine terre. » asclepias syriaca herbe a perruches » herbe aux perruches, herbe à la ouate (semis) » 2 l'herbe aux perruches (asclepias cornuti) intrigue.

Trending Herbe Aux Perruches Pics Les fruits des arbres et des arbustes contribuent. Par hamdibey dans lire & raconter le 25 avril 2014 à 23:12. Vous pouvez donner aux perruches de l'herbe en petite quantité : L'herbe aux perruches (asclepias syriaca), aussi appelée herbe à la ouate ou asclépiade commune (moins poétique !) est considérée comme une adventice, car très envahissante, dans les pays où elle. Très rustique, elle peut devenir envahissante. Plante vivace au feuillage caduc.

Herbe Aux Perruches 1° toute plante qui, n étant point arbre, arbrisseau ou arbuste, est privée de bourgeons, soit qu elle ne vive qu un an, ou moins, soit que ses racines vivaces émettent chaque. Botanique l'herbe à perruches appartient à la famille des asclépiadacées, au genre asclepias et à l'espèce cornuti. Asclépiade cornue, asclépiade commune, asclépiade de syrie, asclépiade à ouate, herbe aux perruches. En fleurs au printemps, l'asclépias se pare de fruits en forme de perruche qui s'ouvrent au niveau de l'arrête.

Top Herbe Aux Perruches Gallery Chez mes grands parents, nous rajoutions des yeux avec un crayon et aussi quelquefois des couleurs sur la perruche ce qui nous amusait beaucoup. Bourdons sur fleur d'herbe aux perruches. Herbe — (èr b ) s. Voilà pour françoise graine de sucre j'ai trouvé sur le net. L'asclépiade ( asclepias syriaca ), appelée communément herbe aux perruches ou herbe à la ouate est une plante vivace arbustive aux racines charnues, étalées qui peuvent en faire une plante un peu. L'herbe aux perruches, asclépiade ou asclepias cornuti est une plante de la famille des semis des graines d'herbe aux perruches:

Herbe Aux Perruches Il est nécessaire de laisser tremper les semences dans de l'eau tiède. » asclepias syriaca herbe a perruches » herbe aux perruches, herbe à la ouate (semis) » 2 l'herbe aux perruches (asclepias cornuti) intrigue. Plante ancienne remise au goût du jour, l'herbe aux perruches est une plante vivace rustique elle est aussi appelée herbe à la ouate car les graines ont une soie végétale à l'extrémité qui leur facilitent. Herbe — (èr b ) s.

Get Herbe Aux Perruches Gallery L'herbe aux perruches (asclepias cornuti) intrigue. Asclépiade cornue, asclépiade commune, asclépiade de syrie, asclépiade à ouate, herbe aux perruches. Herbe aux perruches (asclepias syriaca). Chez mes grands parents, nous rajoutions des yeux avec un crayon et aussi quelquefois des couleurs sur la perruche ce qui nous amusait beaucoup. Asclepias syriaca (l'herbe aux perruches ou herbe à ouate) est la plus connue car ses fruits ressemblent étonnamment à des oiseaux. Graines d'herbe aux perruches (asclepias syriaca) sachet de 40 graines.

Herbe aux perruches (asclepias syriaca).

Herbe Aux Perruches Plante vivace au feuillage caduc. Herbe — (èr b ) s. Très rustique, elle peut devenir envahissante. En fleurs au printemps, l'asclépias se pare de fruits en forme de perruche qui s'ouvrent au niveau de l'arrête. Botanique l'herbe à perruches appartient à la famille des asclépiadacées, au genre asclepias et à l'espèce cornuti. L'herbe aux perruches (asclepias cornuti) intrigue.